
Obec: | Banka |
---|---|
Okres: | Piešťany |
Kraj: | Trnavský kraj |
Druh: | Pozemky |
Typ: | Predaj |
Typ pozemku: | Pozemok pre rodinné domy |
Iné: |
PLAZA REAL s.r.o. Vám exkluzívne ponúka na predaj stavebný pozemok v obci Banka v tesnom susedstve mesta Piešťany, v tesnej blízkosti areálu svetoznámych kúpeľov.
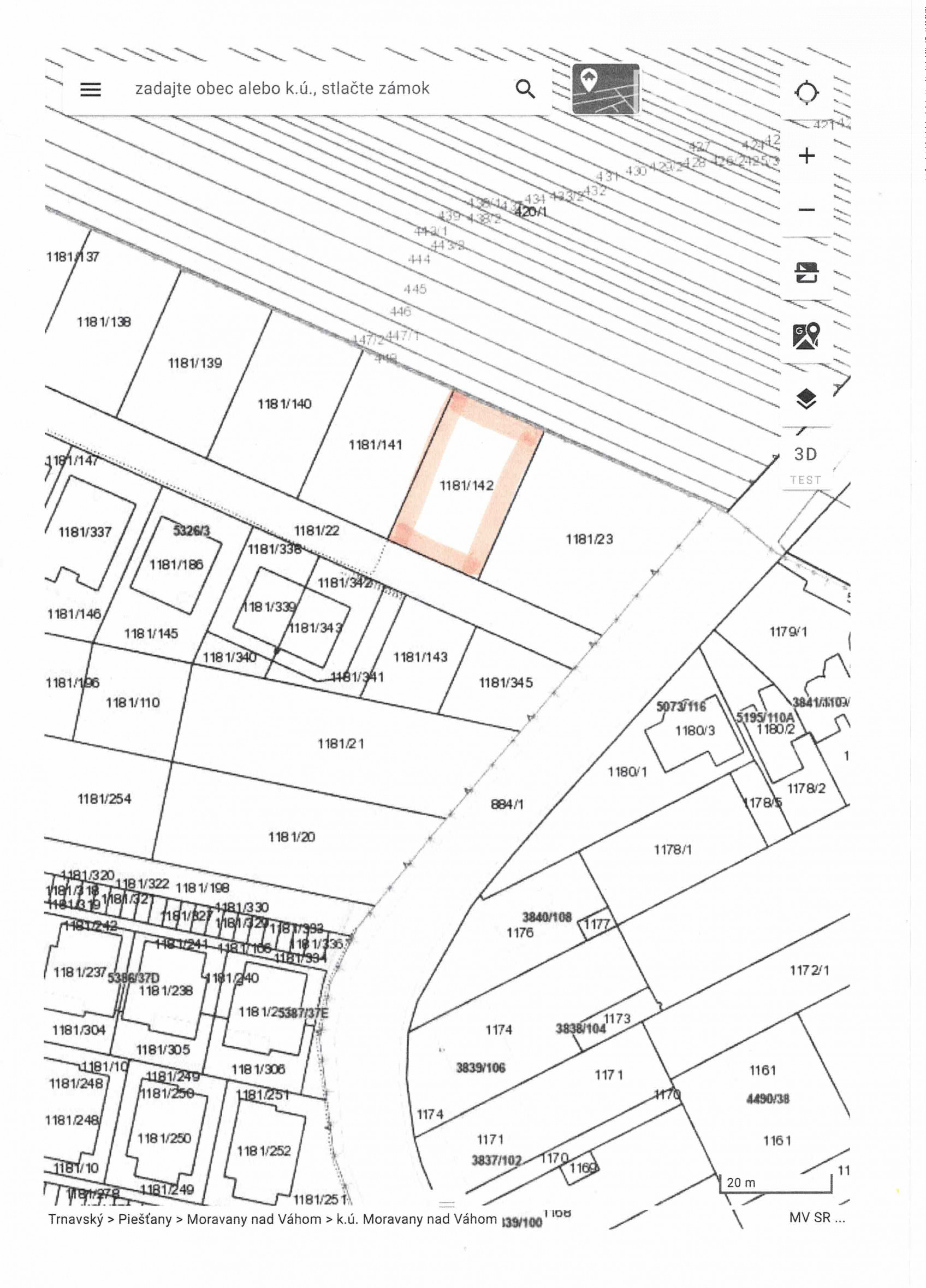
POPIS: Ponúkame Vám na predaj rovinatý pozemok v tichej časti obce Banka pri Piešťanoch. Nachádza sa v intraviláne obce v blizkosti piešťanských kúpeľov. IS na pozemku ( voda, kanál, elektrika ). Pozemok má ideálny tvar obdlžnika cca 17m x 30m. Spolu 501m2.
LOKALITA: Vyhľadávaná dynamicky sa rozvíjajúca lokalita, neďaleko kúpeľov a mesta Piešťany.
CENA: 117.735,- Eur, rsp. 235Eur/m2 podrobnejšie info na 0910/932519
Realitná kancelária PLAZA REAL s.r.o sa riadi Realitným kódexom. Cena nehnuteľností je konečná, zahŕňa províziu realitnej kancelárie, kompletný právny servis zabezpečovaný advokátskou kanceláriou, správny poplatok prevodu vlastníckych práv na katastri, poradenstvo k prevodu nehnuteľnosti aj bezplatnú ponuku financovania prostredníctvom hypotéky.
maklér