Používame cookies

Súbory cookie a ďalšie technológie sledovania používame na zlepšenie vášho zážitku z prehliadania našich webových stránok, na to, aby sme vám zobrazovali prispôsobený obsah a cielené reklamy, na analýzu návštevnosti našich webových stránok a na pochopenie toho, odkiaľ naši návštevníci prichádzajú. Viac info

 

Slnečný pozemok - obec Banka, Piešťany

Obec: Banka
Okres: Piešťany
Kraj: Trnavský kraj
Druh: Pozemky
Typ: Predaj
Typ pozemku: Pozemok pre rodinné domy
Iné:
112 750 €

Popis nehnuteľnosti

PLAZA REAL s.r.o. Vám exkluzívne ponúka na predaj stavebný pozemok v obci Banka v tesnom susedstve mesta Piešťany, v tesnej blízkosti areálu svetoznámych kúpeľov.

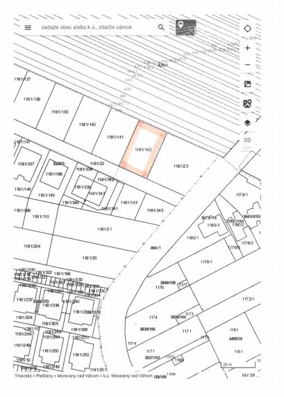
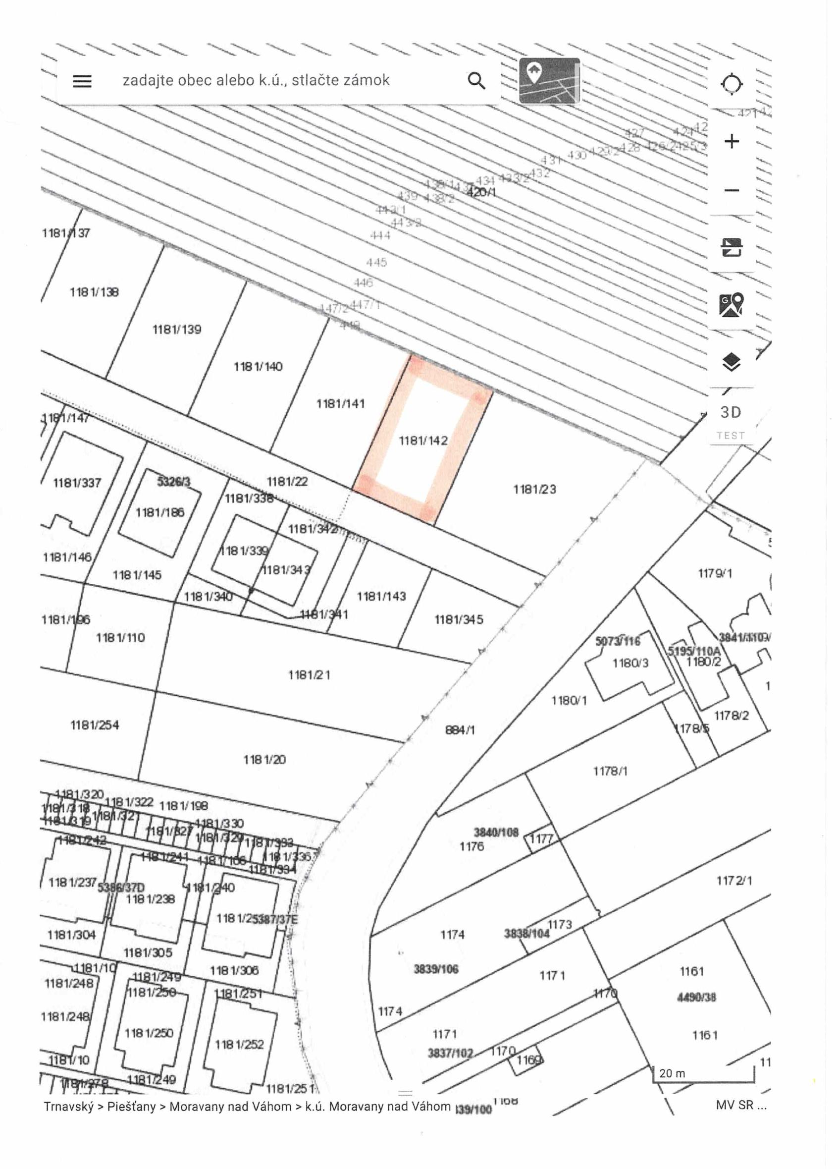
POPIS:  Ponúkame Vám na predaj rovinatý pozemok v tichej časti obce Banka pri Piešťanoch. Nachádza sa v intraviláne obce v blizkosti piešťanských kúpeľov. IS na pozemku ( voda, kanál, elektrika ). Pozemok má ideálny tvar obdlžnika  cca 17m x 30m. Spolu 501m2.

LOKALITA: Vyhľadávaná dynamicky sa rozvíjajúca lokalita, neďaleko kúpeľov a mesta Piešťany. 

CENA:  112.725,- Eur,  rsp. 225Eur/m2   podrobnejšie info na 0910/932519

Realitná kancelária PLAZA REAL s.r.o sa riadi Realitným kódexom. Cena nehnuteľností je konečná, zahŕňa províziu realitnej kancelárie, kompletný právny servis zabezpečovaný advokátskou kanceláriou, správny poplatok prevodu vlastníckych práv na katastri, poradenstvo k prevodu nehnuteľnosti aj bezplatnú ponuku financovania prostredníctvom hypotéky.

 

 

Vlastnosti

Status:
aktívne
Vlastníctvo:
osobné
Plocha pozemku:
501 m2
Typ zeme:
rovina
Teritórium:
Intravilán
Šírka pozemku:
17,5 m
Dĺžka pozemku:
29 m
Celková plocha:
501 m2
Orientácia:
juhozápad
Inžinierske siete:
áno
Voda:
áno
Elektrika:
áno
Kanalizácia:
áno
Voda - na pozemku:
áno
Elektrika - na pozemku:
áno
Kanalizácia - na pozemku - kanalizácia:
áno
Iné:
áno
Status:
aktívne
Vlastníctvo:
osobné
Plocha pozemku:
501 m2
Typ zeme:
rovina
Teritórium:
Intravilán
Šírka pozemku:
17,5 m
Dĺžka pozemku:
29 m
Celková plocha:
501 m2
Orientácia:
juhozápad
Inžinierske siete:
áno
Voda:
áno
Elektrika:
áno
Kanalizácia:
áno
Voda - na pozemku:
áno
Elektrika - na pozemku:
áno
Kanalizácia - na pozemku - kanalizácia:
áno
Iné:
áno

Pozrieť na mape

Maklér

Ing. Marian Hollý

Ing. Marian Hollý

maklér

  • Slovensky
  • English

Radi Vám poradíme

Podobné nehnuteľnosti